AUGUSTA (Day 2 - part 6)

A punt gun is a very long shotgun used in the 1800s for shooting large numbers of waterfowl.
Next came a dining room...

(right) William’s desk (built in 1775 in Cambridge, Massachusetts) stood in the corner.

Heading up the the second floor...

... to Margaret's bed chamber.
Aunt Margaret (1740 - 1821) was a relative of Captain James Howard (who bought the place). She lived there with her daughter, Betsy.

The canopy over the bed helped keep them warm. To the left is a blanket chest. ... Sample of knitting

A small chickadee was trapped in the room and kept flying frantically about to find a way out.
Samuel’s bedroom when he would come up from Boston...


The quilt on the bed is from 1775 with a counterpane pattern (a repeating pattern that, when joined together, creates the appearance of a more elaborate overall pattern).

A device used to tighten the bed ropes. ... An octant
An octant was a measuring instrument used in navigation. It was eventually replaced by the more advanced sextant. Samuel would have used it to navigate along the coast, not across the ocean.

We passed by another set of stairs which once led to the top apartment of the tenement house.
Entering William's bedroom...

Underneath the main bed was a hideaway trundle bed.

Greg demonstrated how to tighten the ropes of the bed when it began to sag. The mattress would have been filled with hay and straw... and bedbugs. Hence the bedtime phrase of "Sleep tight, don't let the bedbugs bite."
A sample room in the tenement house...

Thomas Day and his wife Adelaide lived in this two-room apartment with their three children in the 1880s.


A different kind of rope bed

Toiletry items

Laundry items

An old sewing machine... with foot pedal

Old shoes and clothing were found in the walls. Mostly likely they were put there as insulation.
The Howards' best parlor...

Many Revolutionary War figures ate here.... Paul Revere, Aaron Burr and Daniel Morgan, Benedict Arnold
In September of 1775, Colonel Benedict Arnold stopped here with 1,000 soldiers from the Continental Army on his journey up the Kennebec River and through the wilderness to capture Quebec City from the British. His ordeal was plagued with nothing but misery. First, all of his bateaux leaked and were unstable (his 200 boats had all been built in just a couple of weeks). Since they had to be made of green wood, they were also extremely heavy, meaning they couldn't also hold the required weight of 400 pounds of supplies. Most of them fell apart along the way or were easily smashed by rocks.
Their supplies did not last long and after two weeks they were on half rations. They had bad portage maps which caused them to have to go extra long distances. Since they left late in the year, they had to deal with a lot of rain and then snow. They had no shoes, were struck with dysentery, and had to resort to eating their belts. The attack was a complete failure.

The China closet with looking glass ... Hardwood chairs from 1775 that were painted to look like bamboo
We left and drove 30 minutes up to Fort Halifax in Winslow. This was the fort that Fort Western was built to supply. Today, there isn't much left of it, just a single blockhouse.

History:
1650s: Pilgrim trading post
The post was established at the confluence of the Kennebec and Sebasticook Rivers.
1754 - 1767: Fort Halifax
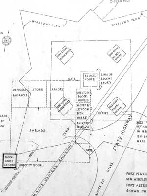
In 1754, Major Winslow ordered the construction of a large fort at the same location of the old trading post. It consisted of four buildings around a central blockhouse. Another blockhouse stood on the hill above. When Captain Lithgow assumed command in 1755, he made the fort smaller and more compact. He added a two-story storehouse and officer's quarters, a soldiers' barracks, another blockhouse on the hills, and one more on the Sebasticook River (this is the only one to survive).
Life on the Maine frontier was difficult. It involved exhausting work, isolation, injury, illness, attacks by native tribes, dependence on ships for resupply, and long cold winters. The first year, there were 125 men stationed there... and half of them were too ill to work that first winter. The following year, 1755, the number of men stationed there had dropped to 100. Two years after that it was down to 78. By 1765, there were only 25 men, and that included troops at Fort Western. By that time, most of the native tribes had moved farther away, feeling overwhelmed by the large number of settlers moving in.
1798 - present
By 1798 the fort had fallen into ruins. All that remained was a single blockhouse. In the 1800s it was used as a fancy goods store, a residence and even a chicken house. When the railroad arrived in the late 1800s, relic hunters cut out chunks of the fort as souvenirs. A lumber mill was built on the property. But the blockhouse somehow survived, although it was in a state of extreme disrepair. In 1913, a group was formed intent on preserving it. It wasn't until 1981, however, that the Fort Halifax Park was created.
The blockhouse withstood floods in 1936 and 1952, but in 1987 it was swept away. Fortunately it was rebuilt in 1988.

Major General John Winslow (1703 - 1774) ... Captain William Lithgow (1715 - 1798)
The Lithgow family at the fort included the captain, his wife Sarah and their many children (they had 11 total). Two of their sons served as drummers and sentinels. The captain's father was a sergeant and his mother spun wool in the fort house.
In 1760, a soldier there by the name of Ezekiel Pattee (1732 - 1813) married Margaret Howard (1740 - 1821), the daughter of Lieutenant Samuel Howard (1701 - 1785) and Margaret Lithgow (1706 - 1799). Margaret Lithgow was the sister of Colonel William Lithgow (above) and Samuel Howard was a brother of Captain James Howard (the commander of Fort Western). Ezekiel's wife was our infamous Aunt Margaret! (It's tough to figure this stuff out when so many family members have the same first names!) They had at least 10 sons and 4 daughters.

Drawings of the fort plans (click for a larger image)

The various posts marked the old edges of the fort.

A marker ... The old fence line

The oldest blockhouse in the USA
return • continue